



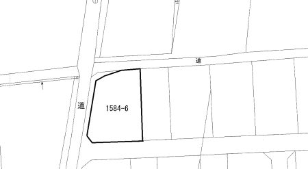
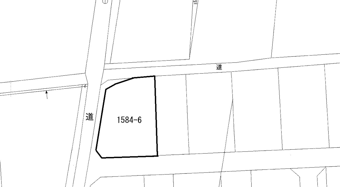
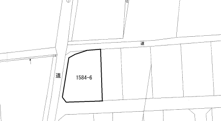
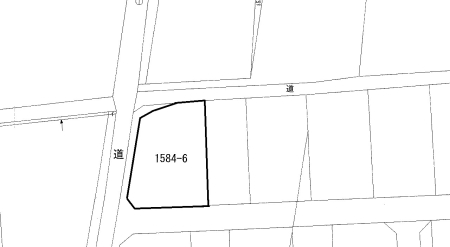
福岡県京都郡みやこ町豊津二月谷1584番6|215万円の土地|行橋豊栄不動産
| 価格 | 215万円 ![]() |
||||
|---|---|---|---|---|---|
| 所在地 | 福岡県京都郡みやこ町豊津二月谷1584番6
この地域周辺の物件を見る |
土地面積 | 236m² (公簿) (71.39坪) | 坪単価 | 3.01万円 /坪 |
| 交通 |
平成筑豊鉄道田川線 新豊津 徒歩26分
|
建ぺい率 | 70 % | 容積率 | 200 % |
| 特徴 |
|
|---|---|
| セールスコメント | - |
| 建築条件 | - | 土地権利 | 所有権 |
|---|---|---|---|
| 現況/引渡し | 更地/相談 | 接道状況 | - |
| 私道負担面積 | - | セットバック | - |
| 地勢 | 地目 | 雑種地 | |
| 用途地域 | - | 都市計画 | 非線引き |
| 法令上の制限 | - | 国土法届出 | - |
| 取引態様 | 一般媒介 | ||
| 情報更新日 | 2026年01月27日 | 次回更新日 | 2026年02月10日 |
| 小学校区 | みやこ町立豊津小学校 (福岡県京都郡みやこ町) この学区の他の物件を見る |
中学校区 | 豊津中学校 (福岡県京都郡みやこ町) この学区の他の物件を見る |
|---|
| 価格 | 万円 | ||
|---|---|---|---|
| 年利率 | % |
||
| ボーナス払い | 返済年数 | ||
| 頭金 | 直接入力する | 万円 | |

毎月のご返済額 |
ボーナス(×年2回) |
物件価格215万円 |
![]() |
![]() |
京都郡みやこ町豊津二月谷1584番6
215万円 |
-