みやこ町豊津二月谷1584番6の分譲住宅一覧|行橋市の不動産のことなら行橋豊栄不動産
TEL :
0930-23-1079
休業日
日曜日・祝日
受付時間
平日:9:00〜17:00 土曜:9:00〜12:00
TOP
売買物件検索
最新物件一覧
不動産売却
会社概要
お問い合わせ
賃貸物件情報
TOPページ
>
物件検索
>
分譲住宅特集一覧
>
みやこ町豊津二月谷1584番6の分譲住宅特集一覧
2
件中
1〜2
件を表示
1
check
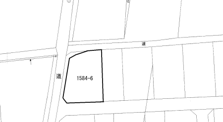
土地|みやこ町豊津二月谷1584番6分譲住宅
土地
価格
215万円
所在地
みやこ町豊津二月谷1584番6
交通
平成筑豊鉄道田川線 新豊津駅 徒歩26分
建物面積
0.00m
2
土地面積
236.00m
2
check
土地|みやこ町豊津二月谷1584番6分譲住宅
土地
価格
215万円
所在地
みやこ町豊津二月谷1584番6
交通
平成筑豊鉄道田川線 新豊津駅 徒歩26分
建物面積
0.00m
2
土地面積
236.00m
2
2
件中
1〜2
件を表示
1
500万円以下
1000万円以下
2000万円以下
2000万円以上
住宅購入の流れ
仲介手数料について
売却の流れ
売却時の諸費用
売却時によくある質問
有限会社行橋豊栄不動産
TEL:0930-23-1079
FAX:0930-23-1080
〒824-0005 福岡県行橋市
中央一丁目2番7号 ユクホウビルY7-1F
営業時間:
平日 09:00〜17:00
土曜 09:00〜12:00
休業日:日・祝
ページTOP
総合
TOP
売買物件検索
スタッフ紹介
賃貸物件を探す
種別から探す
新築一戸建て一覧
中古一戸建て一覧
新築マンション一覧
中古マンション一覧
土地一覧
エリアから探す
行橋市で探す
築上町で探す
みやこ町で探す
その他のエリアで探す
価格から探す
500万円以下
1000万円以下
2000万円以下
2000万円以上
売却・購入をお考えの方へ
住宅購入の流れ
仲介手数料について
売却の流れ
売却時の諸費用
売却時によくある質問
物件検索
お気に入り
検索履歴